Ako prebiehala realizácia zárubného múru v železničnom úseku Čadca – št. hranica ČR/SR?
Príspevok predstavuje technické riešenie a spôsob realizácie SO 08-33-12 Čadca – štátna hranica ČR/SR, zárubný múr pri koľaji č. 1 (nžkm 282,130 – 282,404), ktorý pre zhotoviteľské združenie zrealizovala formou dodávky na kľúč spoločnosť VHS Geotech s.r.o., Bratislava, dcérska spoločnosť člena združenia – spoločnosti VÁHOSTAV.
![]() |
Poznáte výhody Klubu ASB? Stačí bezplatná registrácia a získate sektorové analýzy slovenského stavebníctva s rebríčkami firiem ⟶ |
Objednávateľom stavby so zmluvným názvom ŽSR, Modernizácia koridoru, štátna hranica ČR/SR – Čadca – Krásno nad Kysucou (mimo), železničná trať, 3. etapa, sú Železnice Slovenskej republiky Bratislava (ŽSR), zhotoviteľom je Združenie Kysuce, ŽSR, pod vedením spoločnosti TSS Grade, a.s., Bratislava, a s druhým členom spoločnosťou VÁHOSTAV, a.s., Bratislava.
Zmluva o dielo sa riadi Zmluvnými podmienkami pre stavebné a inžinierske diela projektované objednávateľom (Červená kniha FIDIC), prvé vydanie 1999. Generálny projektant stavby je spoločnosť REMING Consult a.s., Bratislava.
Úsek trate ŽSR 127 Žilina – Čadca – Svrčinovec zastávka – Mosty u Jablunkova (CZ) sa zmodernizuje v celkovej dĺžke 4,904 km. Časť existujúcej trate sa presunie do novej trasy, upravia sa oblúky pomocou zárubných múrov (3 ks), v nevyhnutnom rozsahu sa vymení železničný spodok a kompletne celý železničný zvršok, zrušia sa dva mosty, prestavajú sa tri a nanovo postavia dva mosty.
Zrealizuje sa nové trakčné vedenie a sústava zabezpečovacích zariadení. V trase sa upravia križujúce vodné toky a preložia inžinierske siete. Súčasťou stavby je aj nová zastávka Svrčinovec (dĺžka nástupíšť 2 × 190 m) s nadúrovňovou oceľovou lávkou, prístupnou bezbariérovo.
Realizácia prebieha od augusta 2022, toho času počas nepretržitej výluky koľaje č. 2 v úseku Čadca – hranica SR/ČR. Stavba sa realizuje v náročnom teréne s veľmi komplikovanými prístupmi, a to po celej dĺžke trasy.

Opis a technické riešenie
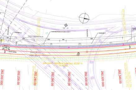
Zárubný múr SO 08-33-12 bolo potrebné vybudovať na zabezpečenie zárezu, ktorý vznikol na vyrovnanie smerového oblúka z dôvodu zvýšenej traťovej rýchlosti. Nová trasa železnice sa odkláňa od pôvodného koridoru a dvomi protismernými oblúkmi sa opäť v nžkm 282,300 napája na pôvodnú trať (obr. 1).
Zárubný múr je dlhý približne 273 m, ide o jednoetážový klincovaný a kotvený zárubný múr. Výška múru je premenlivá, od 2,30 do 3,60 m od upraveného terénu. Na zabezpečenie stability zárezu je použitá metóda klincovania zemín. Jej podstata spočíva v postupne opakovanom odkope a vo vytvorení hustej siete ťahových prvkov v zemine (klincov) a krycej vrstvy zo striekaného betónu, vystuženou 2x zváranou oceľovou sieťou (100 × 100 × 8 mm, oceľ B500).
Torkrétový nástrek je nevyhnutné okamžite po zatvrdnutí perforovať, aby sa nevytvorila bariéra proti podzemnej vode. Použili sa perforované rúrky Ø 110 mm, rozmiestnené v spone 2 × 5 m (výška × šírka). Krycia vrstva má hrúbku 200 mm, zhotovená je z betónu C 30/37.
Ťahové prvky tvoria klince Ø 32 mm s dĺžkou 3,0 m, zabudované pod uhlom 10° od horizontu z ocele triedy B500. Ich zvislá vzdialenosť je 0,750 m. Stabilitu múru zabezpečujú trvalé lanové kotvy s dĺžkou 10 až 15 m, ktorých hlavy sú uchytené do železobetónových kotviacich prahov.
Kotvy sú predopnuté na silu od 200 do 300 kN. Obkladovú konštrukciu tvoria vystužené prefabrikované oceľové koše zo zváraných sietí (2 000/500/500 mm) s lícnou plochou vykladanou z prírodného kameňa. Ukladané sú v sklone lícnej plochy 5 : 1. Ostatná časť priestoru za rubovým prvkom v korune múru sa vyplní vhodným nesúdržným zrnitým materiálom (obr. 2).
V korune múru je osadené trojmadlové oceľové zábradlie s výškou 1,1 m. Opatrenia proti účinkom bludných prúdov pozostávali z primárnej (napr. krytie výstuže) a sekundárnej (napr. vodivé prepojenie výstuže) ochrany. Vybudoval sa aj monitorovací systém pre geotechnický monitoring (napr. geodetické meranie povrchových bodov, sledovanie hladiny podzemnej vody, pohybu na šmykových plochách, výtokov z odvodňovacích prvkov súčasne s intenzitou zrážok v území).
Realizácia stavby
Pred začatím prác na objekte múru boli zabezpečené ochrany, resp. prekládky inžinierskych sietí v dotknutom území vrátane silno- a slaboprúdových vedení v správe ŽSR. Samotná realizácia prebiehala od septembra 2023 do septembra 2024, súbežne s budovaním železničného spodku a zvršku. V zmysle projektovej dokumentácie sa najprv odťažila zemina do projektom predpísanej úrovne.
Osadila sa KARI sieť, ktorá sa zastriekala torkrétovým betónom, a v predpísanom rastri sa zrealizovalo klincovanie (obr. 3). Na jednotlivých projektovaných etážach sa vybudoval železobetónový kotevný trám, kde sa do vopred osadených prechodiek zrealizovali lanové kotvy (obr. 4). Tie sa po vytvrdnutí injekčnej zmesi predopli na projektované predpätie.
Ako definitívna obkladová konštrukcia sa použil vertikálny lícový prvok (bloky zo zváraných oceľových pozinkovaných sietí). Konštrukcia sa naplnila kamenivom s predpísanými vlastnosťami, lícna plocha je ručne vykladaná. Bloky sa budovali postupne. Na záver sa osadilo v korune múra oceľové zábradlie a zrealizovalo sa povrchové odvodnenie betónovými tvarovkami vrátane nevyhnutných terénnych úprav.
Záver
Stavba ŽSR, Modernizácia koridoru, štátna hranica ČR/SR – Čadca – Krásno nad Kysucou (mimo), železničná trať, 3. etapa, sa realizuje v celej trase v náročnom teréne s veľmi komplikovanými prístupmi k jednotlivým stavebným objektom. Platilo to aj pre zárubný múr SO 08-33-12, kde sa k tejto logistickej komplikácii pridružili aj novozistené skutočnosti v súvislosti so založením existujúcej spodnej stavby, toho času už sprejazdnenej D3 v úseku Svrčinovec – hranica SR/PR.
Na základe toho bolo nevyhnutné prehodnotiť počas realizácie múru situovanie a dĺžky jednotlivých kotiev. V spojitosti so sprejazdnenou diaľnicou D3 sa ešte v dotknutom území bez vplyvu na prevádzku trate rieši odvodnenie mostných objektov diaľnice a zmeny konfigurácie terénu.
Vďaka konštruktívnej komunikácii všetkých zúčastnených strán, hlavne objednávateľa v úlohe investora a správcu dráhy, zhotoviteľského združenia a generálneho projektanta sa našlo primerané technické riešenie bez nutnosti prerušiť realizáciu samotného zárubného múru.
Spoločnosť VHS Geotech ako zodpovedný zhotoviteľ tak mohla riadne a včas dielo ukončiť a odovzdať do predčasného užívania v novembri 2024 počas dohodnutej výluky pôvodnej koľaje 1, bez nutnosti posunúť zmluvný termín ukončenia celej stavby, plánovaný v decembri 2025.
Zdroje
- Dokumentácia realizácie stavby objektov SO 08-33-12 Čadca – štátna hranica ČR/SR, zárubný múr pri koľaji č. 1 (nžkm 282,130 – 282,404), ktorú vypracoval generálny projektant, spoločnosť REMING Consult, a. s., Bratislava.
- VÁHOSTAV, a.s., Bratislava.
- Združenie Kysuce, ŽSR.
TEXT: Ing. Mojmír Štefanec, obchodný riaditeľ divízie Slovensko, VÁHOSTAV, a.s., Bratislava
FOTO: VÁHOSTAV, a.s.









